Horses
Work, Play, Or Just Petting
Here at The Broken Arrow, we have enjoyed a working relationship
with our Arabian, part-Arabian Spanish Mustang cross and other
horses we have had. We enjoy their beauty, good nature, and
common sense that comes with the bloodlines of their performance
ancestry. With the Arabians, we have a tendency to appreciate the
working abilities of *Witez II and Ofir bloodlines, which are Polish bred
horses. We also like the Crabbet bred and Raffles bloodline from Great
Britain. In our opinion, horses with these bloodlines often turn out to
be good sensible working horses, that often are able to live a long
useful life. But farm injuries have caused us to cut back our horse
ownership in recent years.
Some of our horses were stake out broke after weanling age. All are
use to being with cattle, as they are usually wintered with our herd
bulls during half of winters months, so know how to watch out for
themselves and how to manage with being around average natured
bulls. Their summer pasture is a ranch/cattle type of pasture with
barbwire fencing, so they are also familiar with that type of fencing.
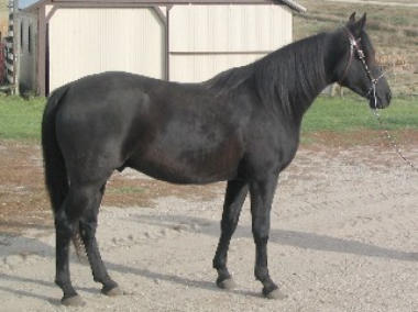
Sorry SOLD - Triquetra Princess “Princess”:
Status: Broke to ride western, well started by a professional trainer
Breed: Part-Arabian: (OFIR, 1.41% *WITEZ II, & 25% Spanish Mustang.)
Color/Sex/Height: Smoky Black w dapples (sun fades) / mare / 15.1hh
Foaling Date/Breeder: April 21, 2010 / The Broken Arrow
Registration No.: HAHR*1A371474
Sire: Eopolus (purebred Arabian endurance horse)
Dam: TBA Barbie (Arabian-QH / Spanish Mustang)
Price: Sorry Sold to a new home in ND!
In Sweet Memory - Mi Tsyndamiga "Syndi":
Status: Brood Mare - Unbroke to Ride
Breed: Purebred Arabian (8.2 percentage *Witez II with 5 lines)
Color/Sex/Height: Black Bay / Mare / 14.3hh
Life Date/Breeder: July 31, 2001 - Dec. 15, 2021 / Courtney
Registration No.: AHRA 0589240
Sire: GDE Tsyndari (Purebred Arabian - most classical)
Dam: Mi Amira Amigo (Purebred Arabian)
Price: Not For Sale
Magnum Witez BA “Magnum”- Rehomed:
Status: Broke to Ride Western (upper intermediate to experienced
rider, bigger boned can carry large person.)
Breed: Purebred Arabian
Color/Sex/Height: non fading Black / Gelding / 14.3hh
Foaling Date/Breeder: April 28, 1999 / Witez Black Arabians
Registration No.: AHRA 0563830
Sire: El Nigadin (Purebred Arabian)
Dam: My Hal-Amiga (Purebred Arabian)
Price: Sorry, Magnum left for a new home in ND.
TBA SPARK OF WITEZ “Sparky”:
Status: Broke to Ride Western (Sensitive energy, he was badly
abused by male trainer, so goes best with experienced calm female
rider.)
Breed: Half Arabian/Spanish Mustang
Color/Sex/Height: Red Liver Chestnut / Gelding / 15hh
Foaling Date-Death/Breeder: April 20, 2004-Aug. 4th 2023/ The
Broken Arrow
Registration No.: HAHA 1A354227
Sire: Nickohli Witez BA (Purebred Arabian)
Dam: TBA Barbie (Arabian-QH / Spanish Mustang)
Price: Kept Him For Pet
Belle:
Status: Broke to ride Western (Kid middle Intermediate - Adult
intermediate. Was beginners horse but learned to cheat on beginners.
Good with most traffic, will carry a flag.)
Breed: Morgan
Color/Sex/Height: Red Chestnut / Mare / 14.3hh
Foaling Date/Breeder: Approx. 2001 (Vet. estimate) / unknown
Registration No.: None
Sire: unknown Morgan
Dam: unknown Morgan
Price: Keeping For Pet
In Loving Memory - Love Rage “Snipper”
Status: We hope to see him in heaven someday, as he was a blessing
from God. A very good cowhorse, trail buddy, and family horse.
Breed: Purebred Arabian (Crabbet Breeding) / El Jean Arabians
Color/Sex/Height: Grey/ Gelding / 15hh
Life Dates/Breeder: April 8, 1981 to September 9, 2011 / El Jean
Arabians
Registration No.: AHRA 236044
Sire: Sur-Patt (purebred Arabian)
Dam: Gai-Courrage (purebred Arabian)
Price: He was priceless
This website is maintained by: